Property
Beds
None
Full Baths
None
1/2 Baths
None
Year Built
None
Lot size
0.241 acres
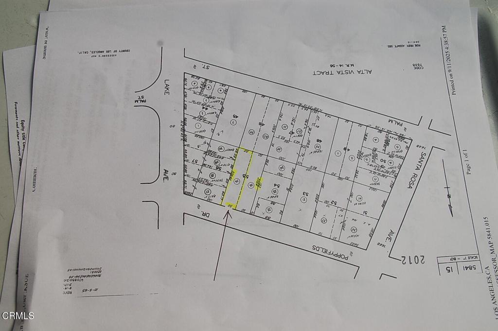
This lot is ideal for future development assessor map shows 50 x 209 nice deep 10,499 foot rectangular lot. located just west of Lake Ave.A savvy contractor after walking the site will notice development possibilities the gentle down slope at street frontage may offer tuck under garages, saving additional lot space to build more structures on. In addition utilizing setbacks may offer a wider house build. County records show what may have been a guest house ?Buyer to verify how many structures may be built on subject property under current code. From street level their are city light & mountain views. Great lot north of Altadena Dr.See attached plot maps adjacent to the blue easement line is aprox 15 foot paved road surface entry off Poppyfields this connects to a 30 ft easement at the south portion of subject property may allow Ingress & Egress separate entry to guest house /ADU at rear of deep lot. Buyer to verify.
Features & Amenities
Interior
-
Total Bedrooms
N/A
-
Bathrooms
N/A
-
Pet friendly
N/A
Exterior
-
Garage
No
-
Pool
No
-
View
None
Area & Lot
-
Lot Features
Near Public Transit, Paved
-
Lot Size(acres)
0.241
-
Property Type
Land
Price
-
Sales Price
$625,000
-
Sq. Footage
N/A
-
Price/SqFt
N/A
HOA
-
Association
No
School District
-
Elementary School
N/A
-
Middle School
N/A
-
High School
N/A
Property Features
-
Senior Community YN
NO
-
Sewer
Public Sewer, Unknown
-
Water Source
See Remarks
Schedule a Showing
Showing scheduled successfully.
Mortgage calculator
Estimate your monthly mortgage payment, including the principal and interest, property taxes, and HOA. Adjust the values to generate a more accurate rate.
Your payment
Principal and Interest:
$
Property taxes:
$
HOA fees:
$
Total loan payment:
$
Total interest amount:
$
Location
County
Los Angeles
Elementary School
Middle School
High School
Listing Courtesy of Eddie Kanouse , Coldwell Banker Realty
RealHub Information is provided exclusively for consumers' personal, non-commercial use, and it may not be used for any purpose other than to identify prospective properties consumers may be interested in purchasing. All information deemed reliable but not guaranteed and should be independently verified. All properties are subject to prior sale, change or withdrawal. RealHub website owner shall not be responsible for any typographical errors, misinformation, misprints and shall be held totally harmless.

FOUNDER
LinaMirza
Call Lina today to schedule a private showing.

* Listings on this website come from the FMLS IDX Compilation and may be held by brokerage firms other than the owner of this website. The listing brokerage is identified in any listing details. Information is deemed reliable but is not guaranteed. If you believe any FMLS listing contains material that infringes your copyrighted work please click here to review our DMCA policy and learn how to submit a takedown request.© 2024 FMLS.
