Property
Beds
None
Full Baths
None
1/2 Baths
None
Year Built
None
Lot size
2.5 acres
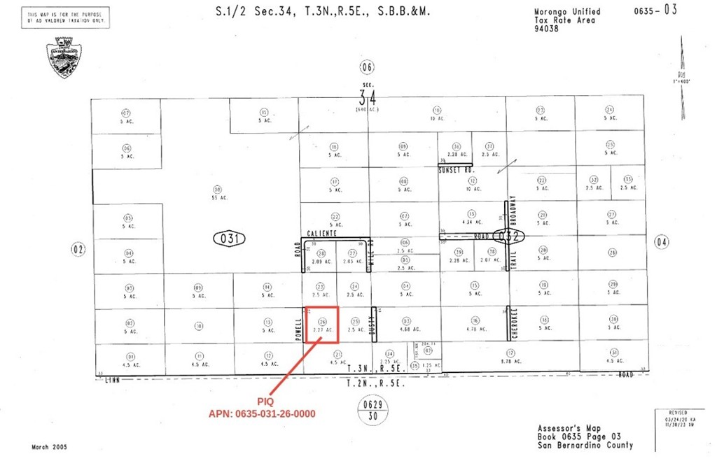
Make this 2.5 acre lot your dream desert retreat and explore the local attractions! Endless hiking and off-road trails in the area. Water and power available - buyer to verify. Build or Invest. Easy access, one lot in from paved Linn Rd. About 30 minutes from Joshua Tree National Park. APN: 0635-031-26-0000 GPS: (34.2965652, -116.4500580) Property does not have an assigned address - for listing purposes only. Owner May Carry.
Features & Amenities
Interior
-
Total Bedrooms
N/A
-
Bathrooms
N/A
-
Pet friendly
N/A
Exterior
-
Garage
No
-
Pool
No
-
View
Desert, Mountain(s)
Area & Lot
-
Lot Features
Rectangular Lot
-
Lot Size(acres)
2.5
-
Property Type
Land
Price
-
Sales Price
$26,500
-
Sq. Footage
N/A
-
Price/SqFt
N/A
HOA
-
Association
NO
School District
-
Elementary School
N/A
-
Middle School
N/A
-
High School
N/A
Property Features
-
Senior Community YN
NO
-
Water Source
None
Schedule a Showing
Showing scheduled successfully.
Mortgage calculator
Estimate your monthly mortgage payment, including the principal and interest, property taxes, and HOA. Adjust the values to generate a more accurate rate.
Your payment
Principal and Interest:
$
Property taxes:
$
HOA fees:
$
Total loan payment:
$
Total interest amount:
$
Location
County
San Bernardino
Elementary School
Middle School
High School
Listing Courtesy of Miller Olsen , Rarick Realty Group
RealHub Information is provided exclusively for consumers' personal, non-commercial use, and it may not be used for any purpose other than to identify prospective properties consumers may be interested in purchasing. All information deemed reliable but not guaranteed and should be independently verified. All properties are subject to prior sale, change or withdrawal. RealHub website owner shall not be responsible for any typographical errors, misinformation, misprints and shall be held totally harmless.

FOUNDER
LinaMirza
Call Lina today to schedule a private showing.

* Listings on this website come from the FMLS IDX Compilation and may be held by brokerage firms other than the owner of this website. The listing brokerage is identified in any listing details. Information is deemed reliable but is not guaranteed. If you believe any FMLS listing contains material that infringes your copyrighted work please click here to review our DMCA policy and learn how to submit a takedown request.© 2024 FMLS.
