Property
Beds
None
Full Baths
None
1/2 Baths
None
Year Built
None
Lot size
2.0144 acres
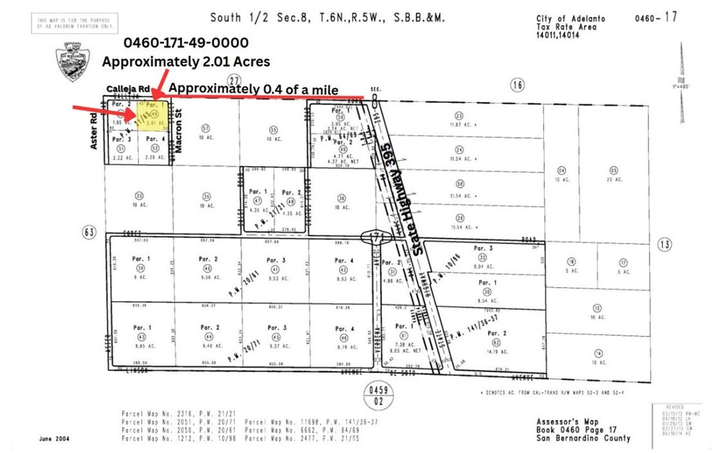
This +/- 2.0 acre parcel is zoned Desert Living (DL2.5) and is approximately less than a half mile just off Hwy 395 within the Adelanto city limits, with solar farms in the area and a trucking company storage lot just two parcels away. It may take some rezoning work with the city, but if you’re looking to store trailers, build a solar farm, build a future home or save it as an investment for the future of Adelanto, either way, this could be the parcel for you. Adelanto is growing by leaps and bounds with multiple housing projects, the legal cannabis industry taking off generating approximately $4.5 million in revenue, and contributing to the city's economic sustainability and growth. And commercial projects with the latest project being built by Lewis Retail Centers on the corner of Mojave Dr & Hwy 395. Hwy 395 is busier than ever, and this is a great area to invest in for the future. All Information is Deemed Reliable, But Not Guaranteed, Buyer and their agent to confirm any and all info including use of the property and any planned projects that you may want to do with it.
Features & Amenities
Interior
-
Total Bedrooms
N/A
-
Bathrooms
N/A
-
Pet friendly
N/A
Exterior
-
Garage
No
-
Pool
No
-
View
Desert, Mountain(s)
Area & Lot
-
Lot Size(acres)
2.0144
-
Property Type
Land
Price
-
Sales Price
$28,000
-
Sq. Footage
N/A
-
Price/SqFt
N/A
HOA
-
Association
NO
School District
-
Elementary School
N/A
-
Middle School
N/A
-
High School
N/A
Property Features
-
Senior Community YN
NO
-
Water Source
None
Schedule a Showing
Showing scheduled successfully.
Mortgage calculator
Estimate your monthly mortgage payment, including the principal and interest, property taxes, and HOA. Adjust the values to generate a more accurate rate.
Your payment
Principal and Interest:
$
Property taxes:
$
HOA fees:
$
Total loan payment:
$
Total interest amount:
$
Location
County
San Bernardino
Elementary School
Middle School
High School
Listing Courtesy of David DiVito , CENTURY 21 Rose Realty
RealHub Information is provided exclusively for consumers' personal, non-commercial use, and it may not be used for any purpose other than to identify prospective properties consumers may be interested in purchasing. All information deemed reliable but not guaranteed and should be independently verified. All properties are subject to prior sale, change or withdrawal. RealHub website owner shall not be responsible for any typographical errors, misinformation, misprints and shall be held totally harmless.

FOUNDER
LinaMirza
Call Lina today to schedule a private showing.

* Listings on this website come from the FMLS IDX Compilation and may be held by brokerage firms other than the owner of this website. The listing brokerage is identified in any listing details. Information is deemed reliable but is not guaranteed. If you believe any FMLS listing contains material that infringes your copyrighted work please click here to review our DMCA policy and learn how to submit a takedown request.© 2024 FMLS.
